Revelan Antiguos Océanos en Marte
Un equipo internacional de científicos que analizaron los datos del espectrómetro de rayos gamma a bordo del ‘Mars Odyssey’ anuncia nuevas evidencias de la controvertida idea de que los océanos cubrieron en el pasado hasta un tercio del Marte antiguo.
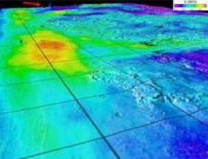
“Hemos comparado los datos de potasio, torio y hierro del espectrómetro de rayos gamma por encima y por debajo de una de las líneas de costa que se cree marcaron los límites de un antiguo océano que cubrió un tercio de la superficie de Marte, junto con otra línea de costa mas interior que se cree fue el borde de un océano mas joven y mas pequeño”, indica el geólogo planetario James M. Dohm, de la Universidad de Arizona, que lidera la investigación internacional.
“Nuestra investigación plantea la siguiente cuestión: ¿habrá mayor concentración de estos elementos en el interior de las antiguas líneas de costa debido a que las rocas y el agua que contenían estos elementos se movieron desde las altiplanicies a las tierras bajas, donde eventualmente se depositaron como grandes extensiones de agua?, indicaba Dohm.
El espectrómetro de rayos gamma de ‘Mars Odyssey’, o GRS, que está liderado por William Boynton del laboratorio lunar y planetario de la UA, tiene la habilidad única de detectar elementos enterrados hasta unos 33 cm bajo la superficie, a través de los rayos gamma que emiten.
Esa capacidad es la que permitió que el GRS descubriese en el año 2002 la existencia de hielo de agua cerca de la superficie en la mayor parte de las latitudes altas de Marte.
Los resultdos del ‘Mars Odyssey’ y de otras sondas sugieren que las condiciones acuosas del pasado marciano muy probablemente disolvieron, transportaron y concentraron estos elementos como potasio, torio y hierro, indica Dohm.
“Las regiones por encima y debajo de las dos líneas de costa son como cortes en una galleta, que pueden compararse con las regiones sobre esas líneas de costa así como a toda la región”.
La línea de costa interior y mas joven es una evidencia de que existió un océano de unas 10 veces el tamaño del Mar Mediterráneo en el altiplano de Marte hace unos pocos miles de millones de años.
La línea de costera, más antigua y mayor, que cubre un tercio de Marte contenía un océano del tamaño de unas 20 el del Mediterráneo, según estimaciones de los investigadores.
Las zonas ricas en potasio-torio-hierro se sitúan centradas respecto a los límites del océano más antiguo y del más joven, en lo que sería sus cotas mas profundas, indicaban.
Los científicos utilizaron los datos del altímetro láser del ‘Mars Global Surveyor’ para elaborar los mapas topográficos de su estudio.
El debate científico sobre la posible existencia de océanos antiguos en Marte bordados por líneas de costa se desató en varios estudios hace casi 20 años.
Uno de esos estudios, de Baker y sus colegas del laboratorio lunar y planetario de la UA, proponía que hace pocos miles de millones de años, erupciones de magma provocaron inundaciones y flujos de agua mayores que el río Amazonas de Brasil.
Estos flujos formaron mares y lagos en las tierras bajas del norte de Marte, originando unas condiciones relativamente más templadas y húmedas que duraron algunas decenas de miles de años.
Los científicos intentan entender como y cuando existió agua en Marte, ya que el agua es un elemento crítico para la vida.
Victor Baker con otros investigadores han argumentado desde hace tiempo que el vulcanismo de Tharsis provocó grandes flujos acuosos que cavaron largos canales de descarga que depositaron sedimentos en las regiones bajas del norte procedentes de las tierras altas craterizadas del sur, donde el agua formó lagos y océanos y cambió el clima durante miles de años.
Crédito: UA Las imágenes tomadas desde sondas, desde la ‘Mariner 9’ a principios de los 70 y los orbitadores y aterrizadores ‘Viking’ a finales de los 70 nos mostraron amplias evidencias de un pasado acuoso en Marte.
Las imágenes y otras informaciones recogidas por la flotilla de orbitadores de EEUU y Europa nos han dado mas detalles a lo largo de la década anterior.
Los resultados de ‘MArs Global Surveyor’, ‘Mars Odyssey’, ‘Mars Express’ y ‘Mars Reconnaissance Orbiter’ no han hecho mas que confirmar un paisaje marciano esculpido por el agua y el hielo.
Los científicos que analizan las imágenes han tenido dificultades para confirmar la línea de costa, según indicaban los investigadores, ya que las líneas de costa de Marte son muy diferentes a las de la Tierra.
Las líneas de costa en la Tierra son generalmente resultado de potentes mareas causadas por la interacción gravitatoria entre la Tierra y La Luna, pero en cambio Marte no tiene lunas grandes.
Otra diferencia es que los lagos o mares en Marte podrían haberse formado a partir de gigantescos flujos y sedimentos líquidos.
También podría ser que en Marte los océanos estuvieran cubiertos de un a capa de hielo, que hubieran impedido la acción de las olas.
“Los datos del GRS añaden una información clave a la larga controversia sobre los océanos en Marte”, indica Dohm.
“Pero probablemente el debate continuará en el futuro, quizás incluso cuando los científicos puedan finalmente caminar sobre la superficie marciana con sus instrumentos a mano, con una red de naves espaciales, aéreas y de sistemas robóticas en tierra”.


